Plants of the Fraser Coast Region

Return to species list


Species information

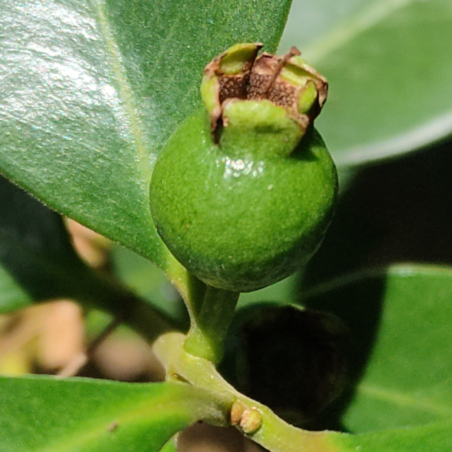
Psidium cattleyanum var. cattleyanum   Sabine WEED

This introduced tree is commonly known as strawberry guava.

Psidium cattleyanum var. cattleyanum is described as a "dicot" in the Myrtaceae family.

In the Queensland Nature Conservation Act it is not classified as it is not native to Queensland. Under the Federal Environment Protection Biodiversity Conservation Act it is not classified.

Recorded in the Moreton district to the south of Fraser Coast Region. Reported on K'gari (Fraser Island) at Eurong in 2008 (https://inaturalist.ala.org.au/observations/102658114) and at Dundowran Beach (https://inaturalist.ala.org.au/observations/66751267). 

It has not been recorded in the Wide Bay district in the Queensland Herbarium Census and is not listed as occurring in the Fraser Coast region in the Atlas of Living Australia.

Reported at 1 Fraser Coast locality: Maryborough.


Fraser Coast distribution based on field reports.


        AVH

Return to species list